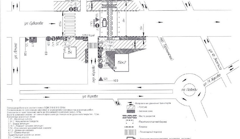
Соответствующие дорожные знаки, ограничивающие проезд транспорта, начнут действовать 14 июня в 21:00 и закончат 15 июня в 7:00, сообщили в пресс-службе горуправы. Специалисты пояснили, что данная мера необходима из-за проведения МУП «Калугатеплосеть» аварийно-восстановительных работ.
Калужанам и гостям города рекомендуют сохранять внимание на дороге и заблаговременно выбирать альтернативные пути объезда.

Газета
Прямая линия












